
Cielos despejados y tiempo más estable este martes en Puerto Rico
El Servicio Nacional de Meteorología pronostica un martes de buen tiempo, con algunas lluvias pasajeras y marejadas leves.

El Servicio Nacional de Meteorología pronostica un martes de buen tiempo, con algunas lluvias pasajeras y marejadas leves.

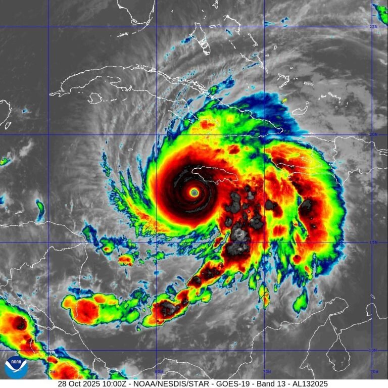
El poderoso huracán Melissa amenaza con causar daños históricos en Jamaica y el Caribe.

El huracán Melissa avanza lentamente hacia Jamaica con vientos de 175 mph, causando muertes e inundaciones en el Caribe.

El poderoso ciclón avanza lentamente hacia Jamaica, luego de causar muertes e inundaciones en Haití y República Dominicana.

El Servicio Nacional de Meteorología levantó las advertencias tras fuertes lluvias que afectaron diferentes zonas.

El Servicio Nacional de Meteorología alertó sobre lluvias intensas que podrían causar inundaciones urbanas.

El potente huracán Melissa podría causar inundaciones catastróficas en Jamaica, Haití y otras islas del Caribe.

El Servicio Nacional de Meteorología prevé altas temperaturas y exhorta a mantenerse hidratado.

El ciclón avanza lentamente hacia Jamaica y podría alcanzar categoría 4 o 5 en los próximos días.

El ciclón podría impactar Jamaica como categoría 4 y causar lluvias e inundaciones catastróficas.




Mantente informado con las noticias más relevantes de Puerto Rico y recibe nuestras actualizaciones directamente en tu correo.